Krásný pozemek ve Zbirohu – stavební parcela s 1/2 podílem na rybníku.
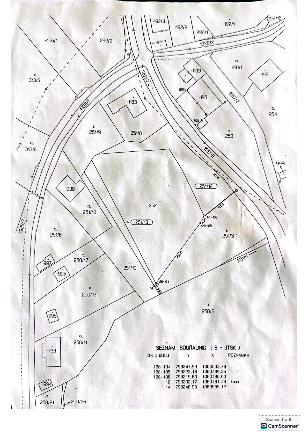
Hledáte místo, kde příroda, klid a vlastní prostor splývají dohromady? Nabízíme 1/2 pozemku o celkové výměře 2 857 m², z toho 1 429 m² stavební parcely a 1 428 m² podílu na malebném rybníku o celkové velikosti 2 856 m².
Celá parcela s rybníkem má 5 714 m², takže je možné koupit poloviční podíl na celém pozemku včetně rybníka, nebo využít předpřipravený geometrický plán vlastníků a koupit konkrétní část stavební parcely o velikosti 1 429 m² + 1/2 podíl na rybníku. Případně bez podílu na něm.
Parcela je součástí územního plánu pro venkovské bydlení, ideální pro stavbu rodinného domu nebo rekreačního sídla.
Podmínky prostorového uspořádání:
minimální velikost stavebního pozemku pro umístění budovy 700 m²
minimální podíl zeleně na stavebním pozemku 50 %
Pozemek má mírný svah a nabízí pohled do Chráněné krajinné oblasti Křivoklátska, ideální pro relaxaci, procházky a kontakt s přírodou.
Co zde najdete:
Majitel zde chová 2 koně na vyjížďky a kozy na mléko, je možné se domluvit na přenechání, pokud máte sen o malé farmě. Parcela bude při prodeji dle dohody vyklizena včetně krmení a materiálu.
V rybníku jsou kapři a sumci, takže rybaření nebo chvíle odpočinku u vody jsou samozřejmostí.
Lokalita a zážitky:
Zbiroh – romantické letovisko na rozhraní brdských lesů a Chráněné krajinné oblasti Křivoklátsko.
Nabízí možnost rekreace i aktivního odpočinku po celý rok.
Turistické a cykloturistické stezky vedou malebnými lesy
Blízkost dálnice D5: rychlé a pohodlné spojení s Prahou (50 min.), Rokycany (20 min.) i Plzní (30 min.)
Přírodní krásy spolu s množstvím kulturních památek vytvářejí ideální podmínky pro odpočinek, relaxaci a rozvoj cestovního ruchu.
? Pro více informací a osobní prohlídku mě neváhejte kontaktovat – ráda vám ukážu všechna kouzla tohoto místa.


Jmenuji se Naďa Rydlová a v realitním oboru působím více než 5 let.
Zkušenosti jsem získala mimo jiné v prestižní kanceláři Century 21 Premium, kde jsem pracovala pod vedením jednoho z nejúspěšnějších makléřů této sítě.
Dnes budujeme vlastní realitní značku RealityNR založenou na lidském přístupu, profesionalitě a důvěře klientů.
Pracujeme po celé České republice.
Naší hlavní doménou je však Praha, zejména Praha 4, dále Středočeský a Severočeský kraj, kde máme největší síť kontaktů a poptávajících klientů.